Référence - 0343601520
Expiré
Votre contact pour cette vente
RESSEGUIER Lionel
RESSEGUIER Lionel
Contrôleur principal des finances publiques
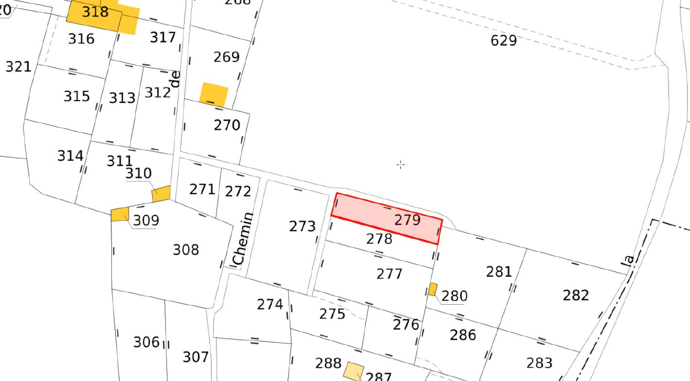
Vente D'une Parcelle Située Dans La Commune De Talairan (11)
Descriptif du bien
Parcelle en nature de jardin d'une superficie de 102m² située dans la Commune de Talairan (Aude)
Vente par appel d'offres
Date limite d’envoi cachet de la Poste faisant foi : 30/11/2023
Vente par appel d'offres
Date limite d’envoi cachet de la Poste faisant foi : 30/11/2023
Procédure de vente
Procédure à venir. Ajoutez le bien à vos favoris pour être informé lorsqu’elle sera connue
Caractéristiques détaillées du bien
Référence cadastrale
AB279
Eligible CIDOL (Biens fléchés logement sociaux)
Non
Terrains agricoles
Diagnostic
Performance énergétique :
Gaz à effet de serre :
Pièces jointes
Fiche descriptive et modèle de soumission
Lundi 21 août 2023 - 14:34 - 0.9MB